ブログ
鯛チョクリ
2026.01.10ハーバーマスター日記
寒波襲来のニュースが流れる今日この頃…
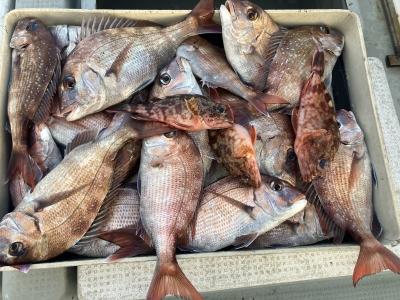
牛窓沖の海水温も10℃近くまで低下、鯛釣りはタイラバ&ヒトツテンヤからチョクリに移行。
ただ、チョクリ仕掛けはハリの多さで短時間に多く釣れるメリットがある反面、
長尺仕掛けの扱いが難しく、魚影反応が無ければ全く釣れないというデメリットもある。
チョクリ釣りの潮とポイントの話は書ききれないので割愛するが、
牛窓のポイント(15~30m)は小豆島(25~50m)と比べ浅く仕掛けは全長8mの6本ばりが扱い易い。
1回転60cmのベイトリール5回転で鉛は底から3m、1番上のはりは底から10mの位置に来る。
鯛の活性があがり遊泳層が多少上ってもこれ以上の長さは不要。
今後4月(水温15℃)までシーズンだが、北西の季節風の風裏になる牛窓は穴場。
手前味噌になるが、年末売り切れた弊社オリジナル仕掛けも入荷、一度お試しあれ!




